KME - DG
KME  EG 2

“Das KME auf dem Weg zum Wohnquartier  “Future for Dudeltown-City”

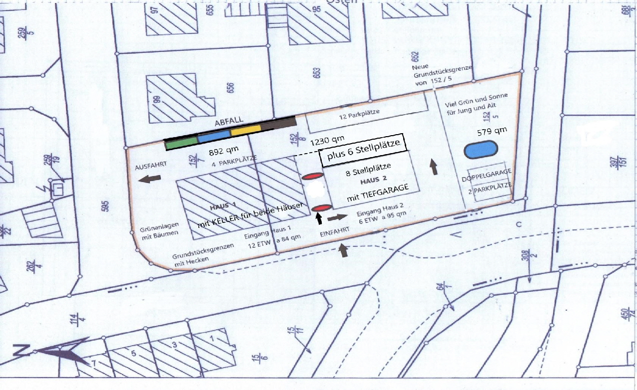
KME 1   mit Keller und Keller für KME 2 sowie TIEFGARAGE mit 8 Stellplätzen

 KME  2 mit  6 Eigentumswohnungen  NEUBAU

Im DG muß die Wohnfläche , wegen der Dachschräge, dementsprechend neu berechnet werden.

WESTEN - EINGANG

WEST _ NORD

NORDEN

KME 11 mit Haus 2  West - Eingang
KME 11 mit Haus 2  West - Nord
KME 11 mit Haus 2  Norden

NORD - OST

OSTEN

OST - SÜD

SÜDEN

KME 11 mit Haus 2  Süd - West

SÜD - WEST

KME 11 mit Haus 2  Luftaufnahme vom Krankenhaus

LUFTAUFNAHME VOM KRANKENHAUS  AUS

KME 11 mit Haus 2  Luftaufnahme vom Felsenkeller

LUFTAUFNAHME VOM FELSENKELLER  AUS

LUFTAUFNAHME VOM WESTERTURM  AUS

KME 11 mit Fahrstuhl im Haus & Haus 2    LUFTAUFNAHME vom WESTERTURM

KME 1 mit  KME 2 auf der TERRASSE  sowie 19 PARKPLÄTZEN, Abfallentsorgung und Elektroladestation

KME 1

NORD - WEST

KME 2

WESTEN  -  EINGANG

KME 11 mit Fahrstuhl im Haus & Haus 2    OSTEN
KME 11 mit Fahrstuhl im Haus & Haus 2    SÜDEN
KME 11 mit Fahrstuhl im Haus & Haus 2    OST-SÜD

KME 2

KME 1  UMBAU von HOTEL und GASTSTÄTTE in 12 Eigentumswohnungen

KME 11 mit Fahrstuhl im Haus & Haus 2    NORD - OST

    OSTEN

NORD-WEST

SÜD - WEST

KME 2  über der Tiefgarage  NEUBAU mit  6 Eigentumswohnungen

HAUS-2 ERDGESCHOSS WOHNFLÄCHEN
HAUS-2 OBERGESCHOSS WOHNFLÄCHEN
HAUS-2 DACHGESCHOSS WOHNFLÄCHEN

KME 2

KME 11 mit Haus 2 und Fahrstuhl im Haus  2
KME 11 EG  mit Parkplätzen, Müllboxen und Elektro Ladestationen
KME - OG 2
KME Keller 22
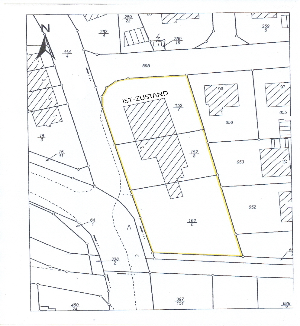
Lageplan IST-ZUSTAND 2

KELLER  HAUS  1  noch einmal  EXTRA

Im DG muß die Wohnfläche , wegen der Dachschräge, dementsprechend neu berechnet werden.

KELLER  mit  TIEFGARAGE und  16 STELLPLÄTZEN

 

HOTEL - KME 2022 mit Tiefgarage 14 Stellp.
Lageplan IST-ZUSTAND

LAGEPLAN    ISTZUSTAND

Lageplan geändert mit Haus 1 und 2

Zukünftiger Lageplan

Hotel Duderstadt, Hotels Duderstadt, Hotel Restaurant Duderstadt

Folge unserem Rocky und Du kommst zu eventuellen Familiendomizielen

Zimmermädchen 1
schmetter09 gif
p_highlighted
p_highlighted
p_highlighted
p_highlighted
>